我的位置: 上观号 > 上海嘉定 > 文章详情

嘉定这里将新建道路及桥梁→

转自:上海嘉定 2025-12-23 09:59:20

@嘉定的小伙伴

南翔镇将新建道路及桥梁

详见↓

设单位(个人)

海市嘉定区南翔镇人民政府

设项目名称

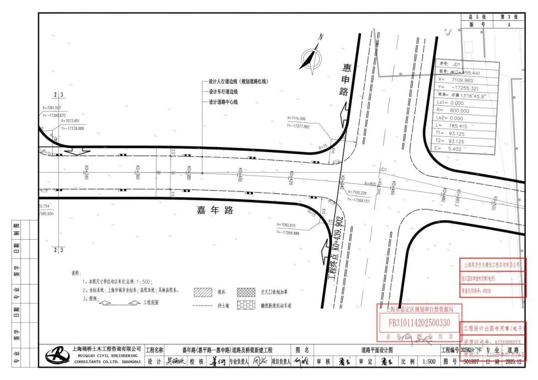
嘉年路(惠平路-惠申路)道路

及桥梁新建工程

设位置

东至惠申路、南至道路红线、

西至惠平路、北至道路红线

设规模

新建道路全长439.902米宽20米

新建桥梁1座,桥梁单跨跨径22米

通讯员:嘉小规
编辑:吴宇卿 (见习)

点赞分享给身边的人