
▲悦读+志愿者服务队招募中,点击报名
洪福里,原址位于今天潼路河南北路路口东南角,是苏州河虹口段一带具有典型代表性的石库门里弄之一。近代上海,里弄住宅多呈现百业混居的景象,洪福里也不例外,而翻阅史料,医药行业从业者、机构对洪福里似乎格外“青睐”,而这也为后者的百年沧桑平添了几多悬壶济世的往事与回忆。
早在第一代洪福里时期,洪福里内就有一家溥仁医院,据目前所见资料,该医院位于洪福里44号,开业应不晚于1924年,每天上午9时至12时,下午2时至4时开诊,同时还兼做药品代理经销业务。
1932年第二代洪福里落成后,很快又有诊所、药店等落脚于此。比如1932年4月23日,《新闻报》上即有中医丁济华在洪福里开诊的广告,门诊上午9时至下午3时,3时后出诊,门诊诊金1元,出诊5元。丁济华,出身近代上海著名的中医世家,祖父丁甘仁、父亲丁仲英均为海上名医。
有医自然有药,1934年10月13日《申报》《新闻报》的醒目位置都有刊登一则占据半版的大幅广告《上海雷允上诵芬堂,北号药铺明日开市营业》,这处俗称雷允上北号的药店即位于洪福里沿河南北路那排三层建筑中,具体门牌号为河南北路30号。

▲雷允上北号开业广告,来源:《新闻报》1932年10月13日
雷允上,清康熙年间创设于苏州,1861年进入上海,在南市开设其申城首家药店。位于洪福里的北号,则是雷允上在上海第二家门店,开业当日“顾客云集,拥挤异常”,党、政、商、学各界来宾及海上文人、药业从业者均前来道贺。此后的六七十年间,雷允上北号始终在此处,虽历经变迁,但这块招牌始终不曾改变,成为河南路桥北堍一处重要的地标。
医院、医生、药店,除了这些机构、人物,洪福里4号还曾是《申报·卫生周刊》编辑部所在。《申报·卫生周刊》创刊于1932年11月20日,前后共出版六期,主要作者包括郭柏良、丁济华、林小川等知名中医,介绍血病、寒症、肺痨等病症的治疗要点,设置栏目有血症常识、医学顾问、小常识等。该周刊虽存在时间短暂,但其立足中医的定位,和之后主打西医的《申报·医学周刊》形成显著差异,在1920-30年代《申报》多个医学相关副刊中有着鲜明特色。
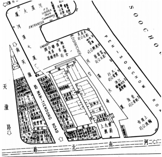
实际上,上述这些只是近代以来洪福里“医药元素”的一部分。以1939年版《上海市行号路图录》为例,除了前述提到的那些,洪福里沿街与弄内还有“符永年医局”“张菊池医局”“三德堂牙医局”“程瀚章诊所”等多家诊所。到1947年版《上海市行号路图录》时,上述诊所均仍在原址,可见洪福里的这些诊所、医局都已建立了稳定口碑。

▲洪福里住户、机构分布,来源:《上海市行号路图录》1947年版
这其中,住在洪福里11号的程瀚章医师颇值得多提两句。程瀚章,字念劬,江苏吴江县人(今江苏省苏州市吴江区),江苏医学专门学校毕业,先后担任北京协和医院医师、北京女高师医科教授、江苏教育厅医科督学等职务。1924年程瀚章所著《运动生理》由商务印书馆出版,是近代中国第一部运动生理学专著,是这一学科进入中国的里程碑。此后的数十年间,程瀚章在接诊的同时还笔耕不辍,有《西药浅说》《儿童疾病问答》《复兴卫生教科书》等著作,在传播先进医学卫生知识方面发挥了重要的作用,而这一切,无疑也可谓是洪福里百年历史中的吉光片羽。
文章来源:虹口区档案馆《往事》期刊(2023年壹号),有删改。
作者:曹伟
讲述人:范佳
编辑:葛敏敏