
“绿泽路(高青路-华夏西路)新建工程”
道路规划设计方案正在公示,
一起来看详情↓

项目详情
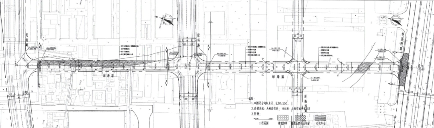
项目基地处于浦东新区北蔡镇范围,道路北起高青路,南至华夏西路。
建设单位
上海浦东开发(集团)有限公司
项目名称
绿泽路(高青路-华夏西路)新建工程
规划依据
浦东新区御桥社区Z000901单元规划
建设内容
道路长度约615米,道路红线宽度20米,道路等级为城市支路。
项目公示图

(点击可查看高清大图)
道路标准横断面图

(点击可查看高清大图)
意见反馈
公示时间:2024年2月5日至2024年2月14日
公示方式:由区规划和自然资源局和项目所在地的街镇共同组织实施,公示采取网上和现场同步公示的方式,公示网址:planning.pudong.gov.cn。现场公示地址:项目建设地块围墙等位置。
本次公示采取书面信函方式听取公众意见,收集意见的信函请寄:浦东新区邹平路161号,邮编:200126,请在信函封面名称上注明“项目方案公示意见”。